Anordnungsbeschluss
Das Landesamt für Ländliche Entwicklung, Landwirtschaft und Flurneuordnung, Dienstsitz Fürstenwalde ordnet gemäß §§ 103a ff. Flurbereinigungsgesetz (FlurbG) den
Freiwilligen Landtausch Perwenitz
Verf.-Nr. 350225
an.
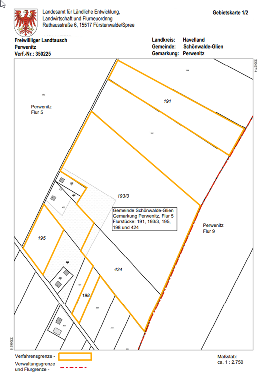
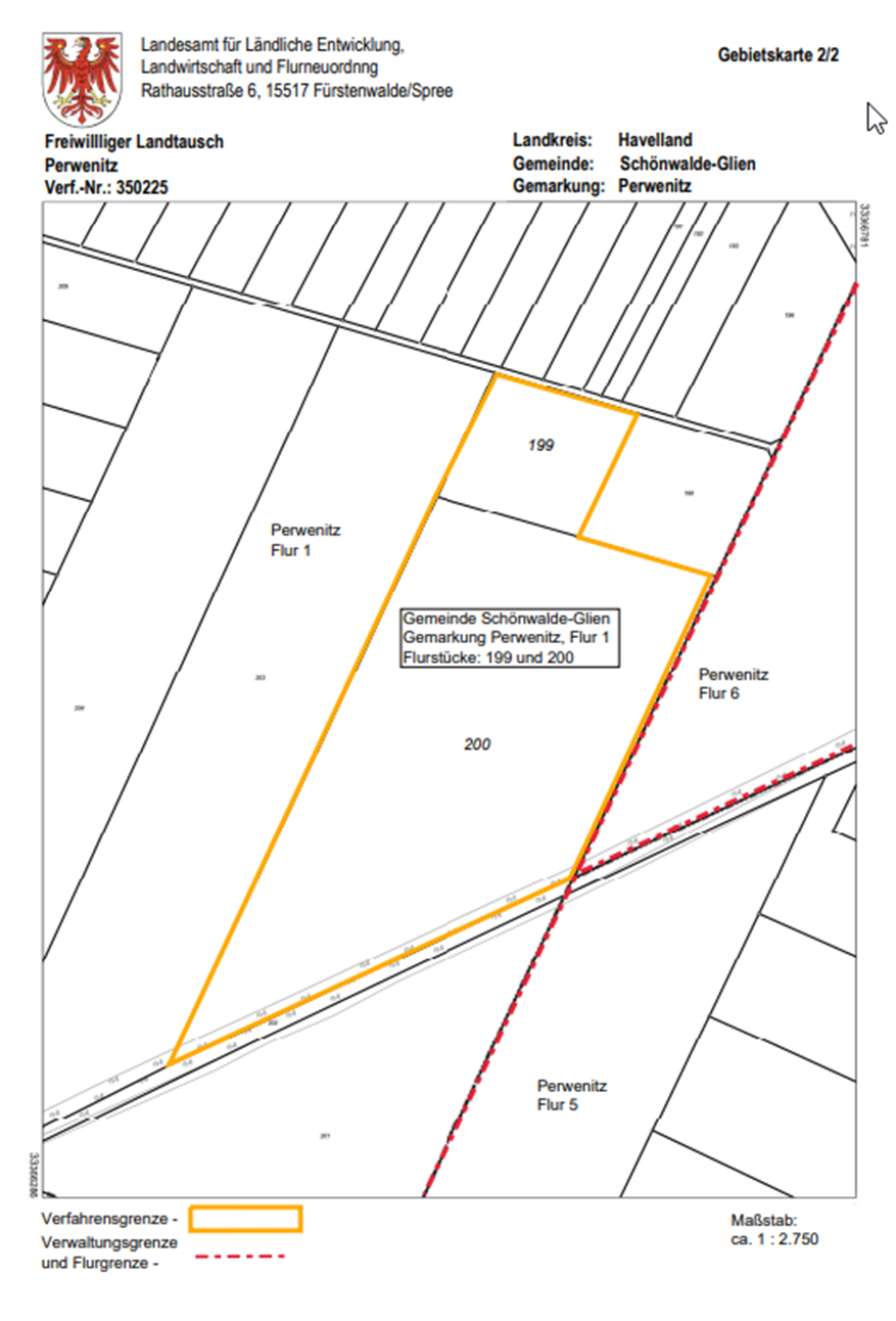
1. Verfahrensgebiet
Das Verfahrensgebiet wird für die nachfolgend aufgeführten Flurstücke festgestellt:
Land | Brandenburg | ||
Landkreis | Havelland | ||
Gemeinde | Schönwalde-Glien | ||
| |||
Gemarkung | Perwenitz | ||
Flur | 1 | Flurstück(e) | 199, 200 |
Flur | 5 | Flurstück(e) | 191, 193/3, 195, 198, 424 |
Das Verfahrensgebiet ist auf den als Anlage zu diesem Beschluss beigefügten Gebietskarten dargestellt.
Es hat eine Größe von ca. 14,834 ha.
2.Beteiligte
Beteiligte des Verfahrens sind die Eigentümer der Grundstücke und die Inhaber von dinglichen Rechten
an den Grundstücken.
3.Aufforderung zur Anmeldung unbekannter Rechte
Rechte, die aus dem Grundbuch nicht ersichtlich sind, aber zur Beteiligung am freiwilligen Landtausch berechtigen, sind gemäß § 14 Abs. 1 FlurbG innerhalb einer Frist von drei Monaten nach erfolgter Bekanntmachung dieses Beschlusses beim Landesamt für Ländliche Entwicklung, Landwirtschaft und Flurneuordnung, Rathausstraße 6, 15517 Fürstenwalde/Spree anzumelden.
Auf Verlangen der oberen Flurbereinigungsbehörde hat der Anmeldende sein Recht innerhalb einer von der Behörde zu setzenden Frist nachzuweisen. Nach fruchtlosem Ablauf der Frist ist der Anmeldende nicht mehr zu beteiligen.
Werden Rechte erst nach Ablauf der bezeichneten Frist angemeldet oder nachgewiesen, so kann die obere Flurbereinigungsbehörde die bisherigen Verhandlungen und Festsetzungen gemäß § 14 Abs. 2 FlurbG gelten lassen.
Der Inhaber eines Rechts muss nach § 14 Abs. 3 FlurbG die Wirkung eines vor der Anmeldung eingetretenen Fristablaufes ebenso gegen sich gelten lassen wie der Beteiligte, dem gegenüber
die Frist durch Bekanntgabe des Verwaltungsaktes zuerst in Lauf gesetzt worden ist.
4. Gründe
Die Tauschpartner haben sich über die Neuordnung der Eigentumsverhältnisse an den verfahrens-gegenständlichen Flurstücken geeinigt und die Durchführung eines freiwilligen Landtausches beim Landesamt für Ländliche Entwicklung, Landwirtschaft und Flurneuordnung beantragt. Sie haben glaubhaft dargetan, dass sich die Durchführung verwirklichen lässt.
Der freiwillige Landtausch dient der Verbesserung der Agrarstruktur (§ 103a Abs. 1 FlurbG) sowie dem Naturschutz und der Landschaftspflege (§ 103a Abs. 2 FlurbG).
5. Finanzierung des Verfahrens
Die persönlichen und sächlichen Kosten der Behördenorganisation (Verfahrenskosten) trägt das Land Brandenburg (§ 104 FlurbG). Die zur Ausführung des freiwilligen Landtausches erforderlichen Aufwendungen fallen gemäß § 103g FlurbG den Tauschpartnern nach Maßgabe des Tauschplanes zur Last.
6. Hinweis über die Erhebung personenbezogener Daten
Im freiwilligen Landtausch werden personenbezogene Daten von Verfahrensbeteiligten und Dritten verarbeitet. Nähere Informationen gemäß der Datenschutz-Grundverordnung (DSGVO) können auf der Internetseite
https://lelf.brandenburg.de/sixcms/media.php/9/Information-DSGVO-FLT-nach-Paragraf-103a-FlurbG.pdf
eingesehen werden. Alternativ sind die Informationen auch beim Landesamt für Ländliche Entwicklung, Landwirtschaft und Flurneuordnung, Rathausstraße 6, 15517 Fürstenwalde/Spree erhältlich.
7. Rechtsbehelfsbelehrung
Gegen diesen Anordnungsbeschluss kann innerhalb eines Monats beim Landesamt für Ländliche Entwicklung, Landwirtschaft und Flurneuordnung, Rathausstraße 6, 15517 Fürstenwalde/Spree Widerspruch erhoben werden.
Fürstenwalde, den 21.08.2025
Im Auftrag
DS
Ramona Morgenstern
Anlage
2 Gebietskarten


